Description
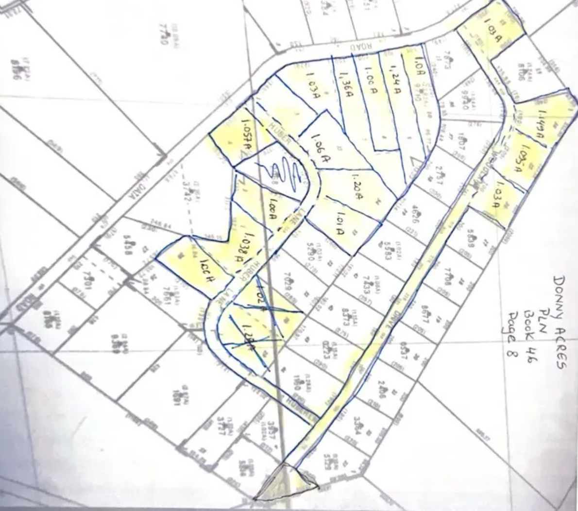
This property presents a prime development opportunity, offering a 16-lot subdivision with remarkable potential. Originally part of the 1975 Donny Acres plan, the land was divided into 44 lots, with 16 spacious, build-ready parcels—each over an acre—still available. Accessed by the private roads Woodland Drive and Huber Lane, the site sits peacefully within the loop of Data Road, Woodland Drive, and Huber Lane, providing both seclusion and convenience. The property already features underground electric service and benefits from enrollment in the Clean & Green Program, keeping taxes low. Whether you’re a builder looking for your next project or someone envisioning a custom home in a tranquil setting, this land delivers exceptional flexibility and promise. Schedule a visit to explore the possibilities firsthand.
Listing Details
- Space Type
land
- Sub Category
residential
- Date Listed
11/21/2025
Property Specifics
- Property Name
0 Woodland Dr
- Lot Size
21.75 AC
- APN
36448104709710
- Zoning
RES



